方案介绍
-
本方案充分自主国产化土木工程三维设计图形平台、岩土分析内核,运用CIM、BIM、AI、云技术、大数据等数字化技术,实现边坡工程BIM正向设计、分析、施工图、工程量统计、数字化交付、综合展示、成果管理查询及历史资料再利用等各阶段数据的采集、数字化交付、查询、监管、再利用等管理功能。
方案特点
多维度、多层次、多场景设计技术
综合应用MIS(信创)、 BIM、CIM、CAD、云技术、物联网、移动互联网等技术,建立二、三维,多场景(设计场景、管理场景、施工场景)、多端(I)C端、Web端、移动端)环境,满足设计单位生产、管理、数字化业务等全面数字化转型的发展需要。
满足国产置换、技术自主可控
基于自主图形平台与岩土分析内核技术,提供通用造型能力、支撑勘察、岩土专业专业软件精细化设计,多源异构数据集成,模拟岩土材料的非线性、各向异性、时效性等复杂力学行为,对于大型、复杂的岩土工程设计。
“平台与应用一体化”真正的随需应变
不依赖写代码的繁琐方式解决,采用模块搭建方式便可开展边坡工程项目管理、工程经营管理、边坡工程监测、综合展示等业务系统建设,实现平台与应用的一体化建设,可以快速的建立起新业务的应用,又可以应对随时调整变化的应用需求!
二、三维联动设计,灵活、高效适应行业设计现状
全面支持二维、三维联动的混合BIM设计,充分发挥二维、三维设计模式各自的优势,支撑二维设计向三维正向设计的平滑过渡。
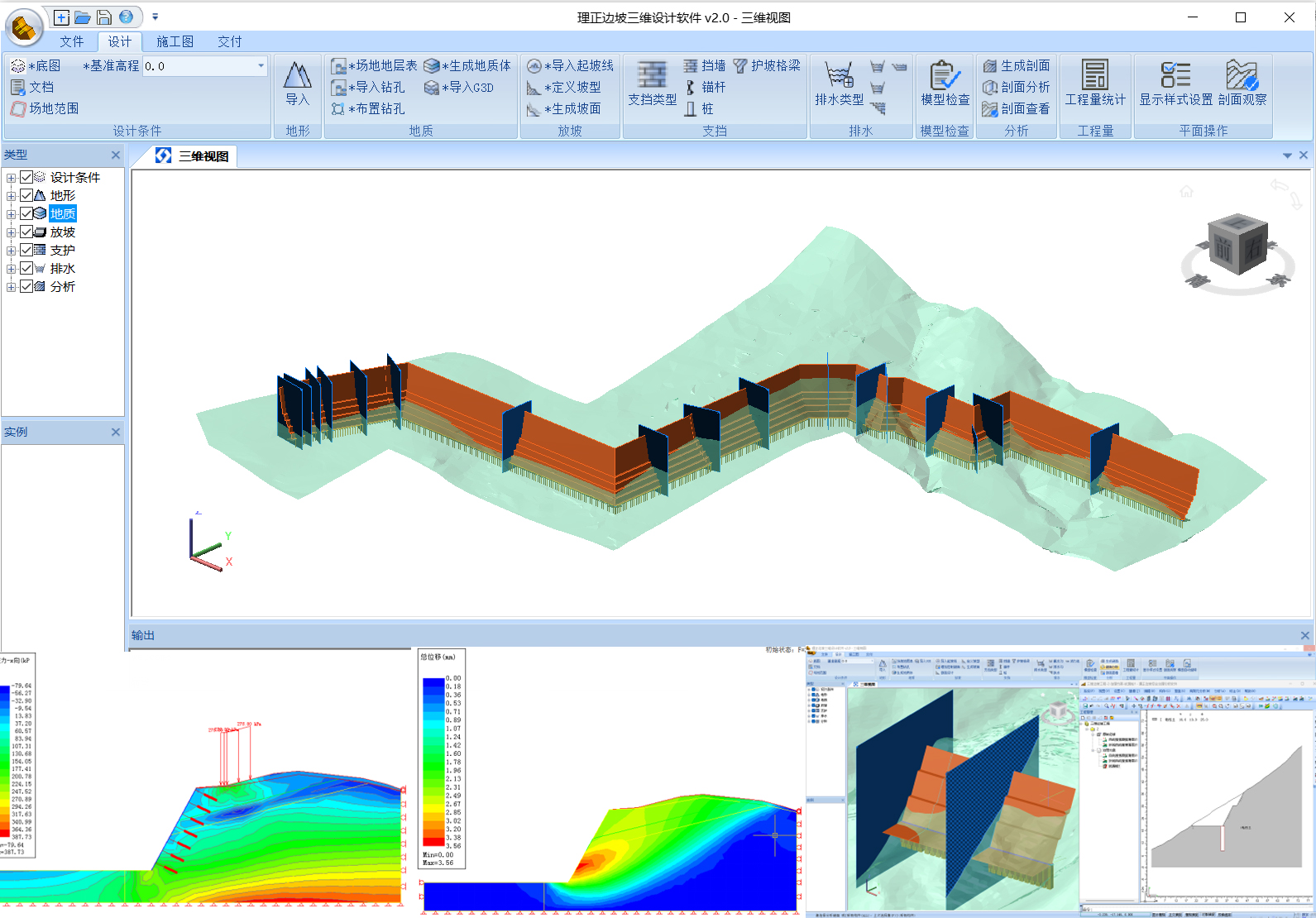
三维边坡设计
-
理正边坡三维设计软件是集三维地质、边坡设计、边坡分析、施工图、数字化交付于一体的设计软件,采用理正自主研发的国产图形平台,可以实现二、三维联动,以三维地质模型为基础,在三维空间上实现放坡、支护、排水等边坡全要素设计,边坡剖面可送入理正边坡综合治理分析软件进行边坡稳定性分析,可自动生成边坡施工图并进行工程量统计,设计成果支持数字化交付。
勘察岩土数据与成果管理系统
-
系统基于理正国产安可管理平台,不仅适配国产主流的基础软硬件、操作系统和数据库,完美融入信创环境,可提供勘察、岩土各类数据交换服务,实现数据共享与多人协作,利用岩土数据与GIS数据结合,项目人员实时访问和编辑边坡工程的三维模型、设计成果和工程量等关键资料,大幅提升了设计工作的协同性和效率。同时通过对工程项目集中存储和管理工程文档、报告、设计参数和案例研究,帮助团队成员可以快速捕捉和应用最佳实践,优化设计方案,提高工程质量,提升了边坡工程设计的协同效率,还强化了知识的积累和再利用。
基于CIM边坡综合展示
-
利用轻量化建模、CIM技术,将项目的地质模型、三维影像、空间数据、三维边坡模型等多源数据,实现地面、地下水、三维地层、边坡结构面进行可视化展现,也可整合其他BIM软件生成的建筑、道路、桥梁、隧道、基坑等BIM模型进行三维展示,可于浏览器端在线详细展示边坡工程多项目、项目周边环境,精准定位测点位置,全天候掌握现场生产动态,同时为满足汇报展示的场景需求,还支持桌面离线展示的方式等等,赋能企业外延数字化业务。